又傳出SPA美容消費糾紛,業者以贈送保養品、加碼美容課程堂數、無卡分期輕鬆付等誘因,吸引女大生購買,事後欲解約退費卻遭拒,才發現店家將化妝品買賣包裝成瘦身美容課程,憤而向台北市府提起消費爭議申訴。
台北市法務局發布消費警訊,有女大生在網路上購買650元的「SPA精油舒壓券+精雕S曲線券」。前往體驗時,業者以贈送保養品為誘餌,推銷買40堂送10堂,並帶到小房間推銷6萬元「學生優惠專案」。
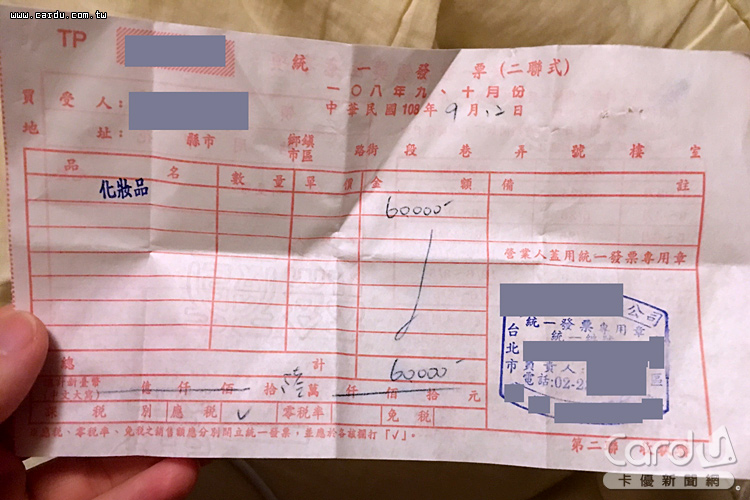
SPA會館業者為使女大生有「無壓力輕鬆付」的錯覺,以「無卡分36期」一期僅須付1,667元的話術行銷,事後女大生欲依課堂數比例解約退費,才驚覺以為是買瘦身美容課程,發票項目卻記載「化妝品」,發票還是由另一家不同登記地址的B公司所開立。
待女大生做了1堂美容課程後,欲依課堂數比例解約退費遭拒,業者將退費責任全部推給販售化妝品的「B公司」,B公司則稱消費者是購買化妝品,拒絕依課堂數比例退費,且表明多數產品已拆封不能退費。
台北市法務局函請「B公司」及「SPA會館」要求說明,「SPA會館」拒絕派員到場,B公司則宣稱僅販售「產品」,其餘美容課程、課程銷售方式、定型化契約等皆不清楚,經協調後B公司願退還部分費用與消費者達成和解;「SPA會館」則因規避檢查,依消保法開罰3萬元。
路邊或大賣場設櫃推銷,或網路販售便宜瘦身美容體驗券手法盛行,待消費者體驗時,再以「VIP專屬優惠價」、「課平均單價非常超值」等話術推銷,加上無卡分期不用立刻拿出現金,容易產生無壓力付款錯覺。
台北市消保官提醒,無卡分期實際上是消費者申請「融資」,業者再以債權轉讓的方式移轉給融資公司,融資公司則逐月定期向消費者收取各期款項。若想解約時不僅無法停止分期付款,業者甚至以過了7天猶豫期,且大部分商品已拆封為由,拒絕退貨,消費者在簽訂契約前,務必確認購買內容。
原文出處
相關文章
查看原始文章商品推薦
- | 耳朵SPA按摩 | her spa和和恬 全台首創直播式掏耳朵 捷運中山站 台湾耳かき推薦
- (按摩SPA)行天宮站-瑿美人Spa松江分館,記得要找時間好好的愛自己,閨蜜SPA按摩,情侶/夫妻SPA按摩,身體SPA,臉部保養,多種客制化課程
- 台北中山SPA推薦。her spa和和恬。毛孔清潔專門保養。男女皆可。無痛清粉刺,可立即上妝
- 按摩|Villa Life采禾莊園SPA。晴光市場旁。全獨立包廂和女按摩師,力量大,伸展動作超多的泰式按摩店!捷運民權西路站
- 2020上半年【美容SPA】療程推薦!從小臉到身心舒壓通通找得到
- 泰國精油【Makhamthai】泰國專業SPA精油,天然身體按摩油/潤膚油+保濕身體乳液/護手霜+天然溫泉SPA手工溫泉皂,清洗、按摩跟保養,在家也可享有頂級SPA的享受!
- 羅宏正幫女友按摩 SPA級服務鬆到睡著
- 年假紓壓SPA推薦清單!各品牌明星療程總整理
- 日式手技臉部保養【her spa 和和恬】男女適用#日式毛孔潔淨護理 #臉部熱石按摩 #漢方芳療生理後臉部按摩 #碳酸面膜
- 『去角質』防疫在家Home Spa 療癒身心靈必備聖品-皇家御用杜拜飯店指定天然精油添加-泰國Yoko SPA雙效磨砂沐浴鹽 240G/250G 開箱分享
- [生活●小物]日本按摩家電│手部/足部按摩│Lourdes小豬造型足部/手部兩用按摩器,九層氣囊緊緊包裹腳部並舒適地刺激~療癒又抒壓的小可愛~
- 美妝週年慶提前開搶!化妝保養品網購優惠攻略一次看,裝上「這個工具」還能額外多一層優惠!
- 底妝界黑馬!用過才知TOPFACE的好,竟然是混和肌膚的蜜糖
- 連IU都在穿,不跟不行!老爹鞋時尚再進化NB708強勢回歸!
- 天然尚好!歐美女孩瘋Frank body, 用最天然的咖啡渣去角質~
- 可以休閒也可以正式!女生秋冬西裝外套穿搭,一不小心比男友帥!
- 2019宜蘭礁溪【龍潭湖herbelle畔悠活園區】室內景點推薦.交通.一日遊
- 柴犬控注意!超萌柴柴週邊大集合,陪你療癒過每一天❤
- 腋下如何?舉手就黑嚕嚕太NG!讓日本Himecoto白雪肌拯
- 好市多「法式可麗餅」新品超夯!軟皮&榛果巧克力醬的口感,好市多「法式可麗餅」根本超生火~
- 「牙套」威力有多神!這6位靠它大變身的女星就告訴妳
- 2019華為新機P30、P30 Pro規格、價格比較
- 日本麥當勞期間限定,螞蟻人不能錯過~「黑雷神巧克力冰炫風」再度登場!
- 試試更有質感的「微辣穿搭」!露奶不流行啦~若隱若現穿搭法辣度更加倍!
- 「我跟她只是朋友...」12星座的「4大渣男特質」大公開!SIS們也遇過這樣的渣男嗎?(下)
- 夏季衣櫃必備「百搭白T」!就算天天穿同件單品出門~也能像是穿新衣!
- 學會「由內而外」的手法將精華油推進肌膚~不要浪費每滴精華!
- 想脫單的SIS要避開!日本男網友票選「最討厭」女生髮型~太可愛其實超NG!
- 襯衫也能穿出百變風格!?襯衫挑選指南附上~這樣搭配不NG!
- 【06/08-06/14】十二星座每週愛情運勢 (下集) ~魔羯座最近對於是否要進入戀愛關係會有種緊張感,大多來是來自於自身的沒自信!
- 私密處噴霧怎麼用?私密處保養推薦這3款!不再擔心悶、紅、癢
- SIS們要小心呀~五個會「讓男生誤會的曖昧舉動」!想斬斷爛桃花先筆記!